
CIUDAD DE MÉXICO.
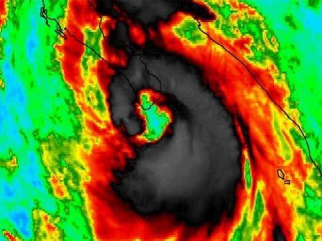
Esta mañana el huracán “Newton” de categoría I tocó tierra en Los Cabos, Baja California y se espera que lo haga por segunda ocasión en Sonora, la madrugada de este miércoles, informó Roberto Ramírez de la Parra , director general de la Comisión Nacional del Agua.
En la parte de arriba de Guaymas en una zona que se llama La Reserva de la Biosfera, del Cajón del Diablo es donde hasta ahora estamos esperando que ingrese hacia la madrugada”.
En este momento, la parte sur del ojo del huracán aún se encuentra sobre Los Cabos y avanza con vientos de 150 kilómetros por hora, dijo.
En cuanto a los daños que habría causado Newton en Baja California Sur, Roberto Ramírez de la Parra dijo que aún no se ha podido realizar la evaluación porque el fenómeno meteorológico tocó tierra apenas hace algunas horas.
mpe
————–
Si deseas ver el contenido completo o mas dale click en el enlace de abajo.
Post y Contenido Original de : Excelsior
Huracán 'Newton' tocó tierra y lo haría por segunda ocasión en Sonora
—————–